章俊華作品丨有節制的豐盛——千里園
項目名稱:千里園(日本)
項目所在地:日本千葉縣松戶市稔臺
用地面積:66 ㎡
建筑設計:鈴木弘樹 一空建筑設計事務所
景觀設計:章俊華 R-land 北京源樹景觀規劃設計事務所
設計時間:2016 年 12 月
竣工時間:2017 年 12 月
施工:平井建設(株)
英文校譯:琳賽·洛特(Lindsay Rutter)、蘇暢
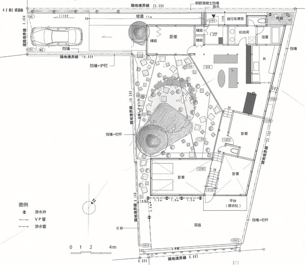
這是一個約 66 ㎡的住宅中庭,建筑是 3 面圍合,西南為 1.8m 高的護欄,由于東南側為坡地,實際一層建筑只高出中庭 60cm。形成一處日照充足視野開闊的凹形圍合中庭。
由于業主要求盡可能的利用原有自家小院內的材料控制成本,又需要在園中有一處戶外休閑的停留場所。實際上這處住宅的室外大體可分為 4 個部分,入戶區,中庭,坪庭(只能觀賞的約 2.75 ㎡的小庭園)和南側的家庭菜園。入戶處除可以停 2 輛車外,其余部分留出一處長約 20m 的通道,只在地面鋪裝與西北側墻體處留出 15cm 的碎石帶,選用純白色的粒石緩沖硬質面的量,并在入戶靠近建筑的端頭,種植了一棵叢生四照花作為入戶區的綠色添景,只有 2.75 ㎡大的觀賞坪庭作為從衛生間的 2 條 15cm 寬的落地窗和浴室的西北側的窗景,這里沒有嚴格的按照枯山水的做法設計,而是減化了地面的紋樣,并利用原自家小院僅有的1處石燈籠和瓦,組合成簡約日式坪庭。
首先在起居室及臥室的最長透視線的端頭設置了一處長近 5m,寬約 3.5 m 的平臺,一邊平行于東西向,呈近大遠小的梯形,在西南角上種植了一棵形體輕巧的叢生小喬木日本白臘,成為中庭中唯一一棵孤植樹,樹池做成異形隆起狀,鋪滿常綠的短葉麥冬,此處平臺可供 7、8 人同時停留。其余的部分自然散置著50cmX50cm和 30cmX30cm 的花崗巖石板,既承擔了園內動線的功能,又組合構成中庭空間的風格,3 條亞光釉瓦帶規整了略顯無序的空間。全園滿鋪的碎石整合了分布凌亂的元素,深灰色的平臺彰顯中庭厚重的氛圍,與叢生日本白臘形成了中庭的主景,亞光釉瓦帶洋溢著“庭”的傳統品位,碎石襯托下自然散置的石板構筑了時空的秩序,設計力求中庭的每一種材料都具備明確的形體,當然也包括植裁。在這里設計遵循:簡而不貧、銳而不利、潤而不頓、麗而不艷、華而不奢——有節制的豐盛。
Rich in Abstention——Qianli Garden
In this project, a residence has been designed and constructed incorporating a 66 square metre atrium. The building has been designed as a three sided enclosure with a 1.8 metre fence at the southwest perimeter and a sloped area to the southeast which is 60cm higher than the ground floor area of the residence. Considering the design of the building, a concave atrium has been formed allowing sufficient sunlight to enter and with a panoramic view of the outside.
A trapezoidal platform 5 metres long and 3.5 wide has been erected running parallel and in an east-west direction and centred on the endpoint of the perspective line of the living room and the bedroom. This area can meet the needs of up to 8 people in this outer space.
Within the atrium stands a solitary tree, a light and compact Japanese ash which has been planted in a tree pool made with a convex surrounding bed and covered with a creeping lilyturf. The rest of the surrounding area consists of naturally scattered 50x50cm and 30x30cm granite slabs giving the atrium not only the emphasis of moving lines but also forming a basic style for the entire atrium. This slightly chaotic space is further standardised by three lines of matt glazed tiles.
Basically the garden area integrates cluttered elements.... the dark grey platform with the compact Japanese ash gives the atrium a dignified atmosphere and forms the main part of the scenery for the whole area. Lines of matt glazed tiles represent the original flavour of a “traditional garden” whilst the naturally scattered stone slabs on the rubble constitutes the order of time and space.All of the materials including plants were required to have defined shapes.
In conclusion, the project has followed basic principles from beginning to end and that is: simple but not poor, keen but not sharp, smooth but not dull, homeliness but not showy, rich but not luxurious or to sum up in three words...”rich in abstention”.

▲平面圖

▲ 構造圖
▼竣工圖片




















章俊華作品系列
編輯:liqing
相關閱讀
江蘇揚州:今年實施五大攻堅行動提升城市綠化
城市道路綠化增綠行動。利用今年春季綠化黃金季節,針對城市道路綠化達標率、林蔭路覆蓋率等指標,全面開展道路綠化增綠提綠補綠,重點對87條道路的行道樹“有綠無蔭、有景少蔭”、綠化品種單一等問題進行整改,形成配置合理、錯落有致、層次清晰的道路綠化景觀【詳細】
北京昌平新城東區將打造濱水商業消費新地標
昌平新城東區位于昌平區南邵鎮,規劃建設用地面積11平方公里,規劃人口12萬,圍繞打造首都北部消費新地標編織街區控規已獲批。未來,昌平新城東區將打造成為京北體驗消費示范區、山水宜居典范城區、高水平綜合服務承載區和智慧產研創新園區【詳細】
南寧園博園舉辦“禮樂園博·南寧花朝盛典”
活動期間,南寧園博園還舉辦了漢服新秀大賽、同袍巡游、及笄成人禮、國風婚禮妝照展示、明制婚禮儀式典禮、六藝游園、書畫體驗、國風集市等精彩紛呈的活動,同時邀請眾多知名國風模特參與表演展示【詳細】
成都首屆“最美公園”評選結果出爐
據成都市公園城市建設管理局相關負責人介紹,本次“最美公園”評選范圍包括23個區(市)縣已建成開放的1514個公園,包括綜合公園、口袋公園,還有郊野公園【詳細】



